Aceria erinea  /  Phytopte du noyer   Eriophyidae

Description :
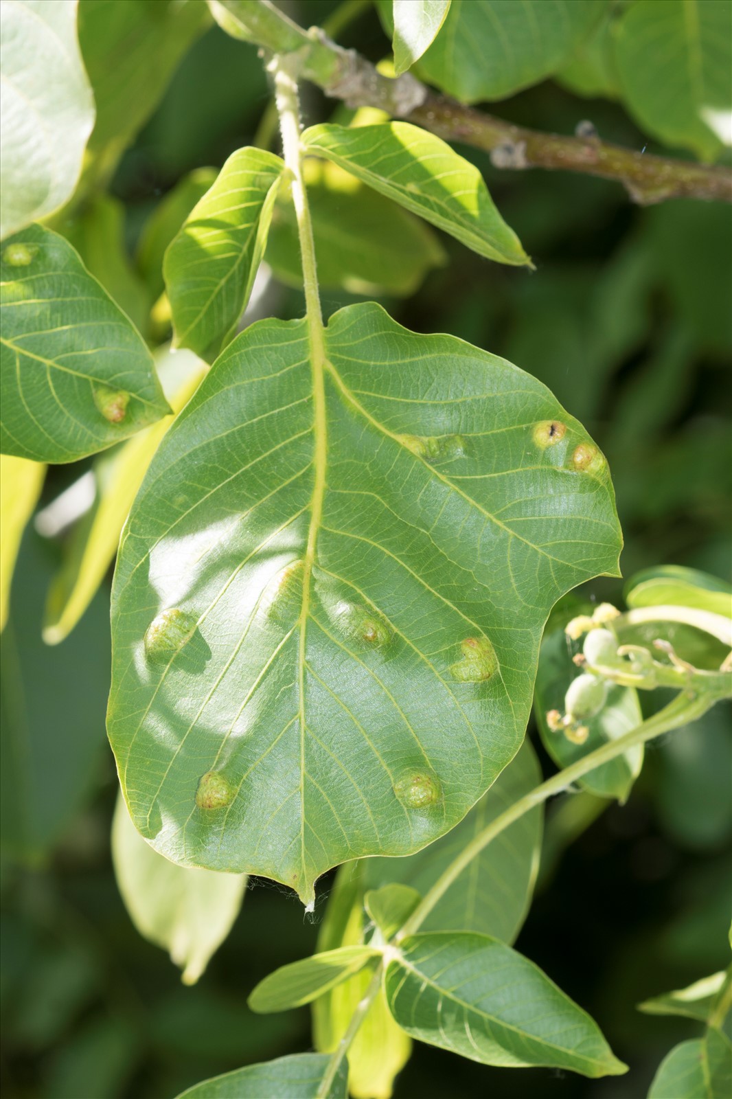
Cette acarien provoque une galle caractéristique en forme de boursouflure sur la face supérieure de la feuille du noyer.
Aceria erinea
Quelque(s) photo(s) du taxon
Plantes en relation avec le taxon
Visuel Taxon Nom usuel
Juglans regia L. Noyer commun
Classification
Classe : Arachnida
Ordre : Trombidiformes
Famille : Eriophyidae
Open Obs
INPN
Fiche mise à jour le 27/03/2026 - Copyright Preservons-la-Nature.fr 2010 - 2026

Bien que nous souhaitons partager le plus de connaissances possibles au plus grand nombre, l'utilisation des photographies reste soumise à autorisation et conditions.
Toutes les photos existent en haute définition, veuillez alors nous contacter pour tout usage.

Site Internet non-commercial

Contact pour les passionnés : contact[ arobase ]preservons-la-nature.fr